Luxury Real Estate Group Boston > Boston > 1139 Hyde Park Ave

LRG Boston

(617) 233-5800

355 Boylston St

Boston, Ma 02116

1139 Hyde Park Ave

Boston, MA

Property Description

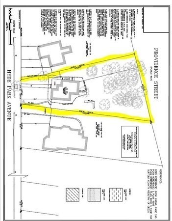
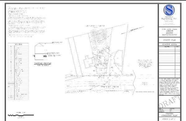
RARE 14,000 SF Hyde Park Development Opportunity! This exceptionally large lot is primed for significant residential redevelopment. Current architectural work suggests potential for 5 to 6 high-end townhouses. For a larger investor, the site's dimensions could accommodate a substantial 20 to 25-unit condo or rental building. Or, for owner-occupied use, this lot is ideal for a multi-family dwelling of 4 units. Owners have proactively engaged the City of Boston and received supportive feedback on preliminary concepts. No formal plans or permits have been submitted at this time. The driveway in one of the pics shows a highlighted area, and that is an easement with 1135-1137 property. That will allow for using it during construction. This is a must-see site for any well-resourced team seeking maximum return in the robust Boston market. Selling lot as is.

offered at

$600,000

  • Listing ID: 73456634
  • Living Area: 2,000 sqft Convert
  • Lot Size: 14,000 sqft Convert
  • Acres: 0.32

Additional Details

Type: Single Family, Single Family Residence

Area: Hyde Park

Zip Code: 02136

Parking

Garage Capacity: 5

Parking: Paved Drive

Parking Spaces: 5

Contact: LRG Boston at (617) 233-5800

LRGBOSTON.COM

355 Boylston St. Boston, MA 02116

Map

Photos